Antalya Kültür Varlıklarını Koruma Bölge Kurulu, Manavgat’ın Dolbazlar ve Çolaklı mahallelerinde yapılan incelemelerde antik seramik buluntularına rastlanması üzerine, her iki bölgeyi de III. Derece Arkeolojik Sit Alanı ilan etti.
Kültür ve Turizm Bakanlığı Antalya Kültür Varlıklarını Koruma Bölge Kurulu, gerçekleştirdiği son toplantıda Manavgat ilçesinin tarihi dokusunu gün yüzüne çıkaracak kritik kararlar aldı. Dolbazlar ve Çolaklı mahallelerinde tespit edilen seramik buluntular, bölgenin arkeolojik potansiyelini bir kez daha kanıtladı.
Dolbazlar Mahallesi’nde Seramik İzleri
Kurulun 27.11.2025 tarihli ve 20951 sayılı kararına göre; Dolbazlar Mahallesi, 103 ada 127 parsel ve çevresinde yoğun seramik buluntuları tespit edildi. Yapılan değerlendirmeler sonucunda alanın "III. Derece Arkeolojik Sit Alanı" olarak tescil edilmesine karar verildi. Bölgenin sit sınırları 1/10.000 ölçekli harita ile kayıt altına alındı.
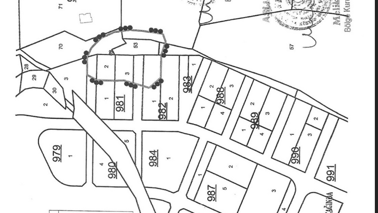
Çolaklı Mahallesi Koruma Altında
Aynı gün alınan 20952 sayılı diğer bir kararla ise Çolaklı Mahallesi’ndeki tarihi bulgular tescillendi. Çolaklı 981 ada 3 parsel ve çevresinde bulunan antik seramik kalıntıları nedeniyle bu bölge de "III. Derece Arkeolojik Sit Alanı" statüsüne alındı. Buradaki koruma sınırları ise 1/2000 ölçekli harita baz alınarak belirlendi.