Kültür ve Turizm Bakanlığı bünyesinde faaliyet gösteren Antalya Kültür Varlıklarını Koruma Bölge Kurulu, Burdur’un Karamalı ilçesine bağlı Kağılcık Köyü’nde yer alan Kağılcık Höyük’e ilişkin önemli bir karar aldı.
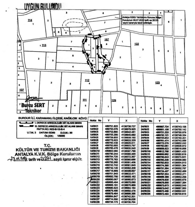
29 Ocak 2026 tarihli toplantıda alınan karara göre, daha önce tescil edilen Kağılcık Höyük I. Derece Arkeolojik Sit Alanı’nın sınırları sayısallaştırılarak koordinatlandırıldı ve güncellendi. Kurul, höyük konisi üzerinde farklı dönemlere ait çeşitli seramik parçaları, klasik döneme ait mimari blok kalıntıları ile lahit ve tekne parçalarının bulunduğunu tespit etti.
I. ve III. derece sit alanı olarak yeniden düzenlendi
Yapılan değerlendirme sonucunda, arkeolojik buluntuların yoğun olduğu bölüm I. Derece Arkeolojik Sit Alanı olarak korunurken, höyüğün çevresini kapsayan alan ise III. Derece Arkeolojik Sit Alanı olarak belirlendi.
Kurul, güncellenen sınırları gösteren 1/5000 ölçekli harita ile tescil fişini uygun bularak kararı onayladı.
Alınan kararın, bölgedeki kültürel mirasın korunmasına yönelik çalışmalara hukuki zemin sağlaması ve arkeolojik değerlerin daha etkin korunmasına katkı sunması bekleniyor.